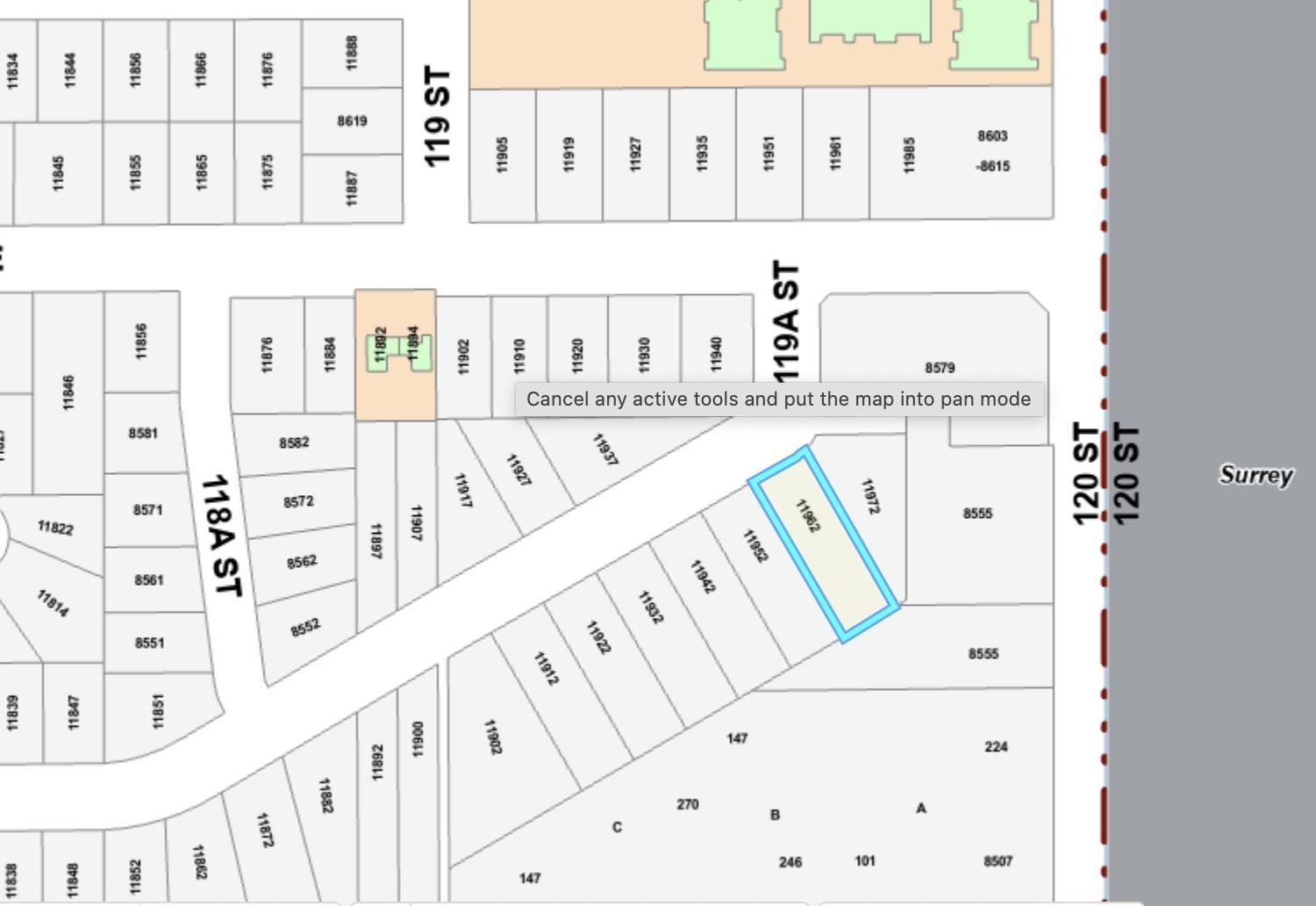
11962 85A AVENUE

Directions
Full size photo
$2,500,000
11962 85A AVENUE
Delta, British Columbia V4C6V4
MLS® Number: R3051025
5Beds
4Baths
2,280Sq Ft
5Parking
1975Year Built
Single FamilyType

About This Property

Exceptional redevelopment opportunity in Delta's new Transit-Oriented Development (TOD) area. Located steps from Scott Road rapid transit, this property offers outstanding potential for higher-density mixed-use or multi-family development. Walkable to shops, services, schools, and parks, it's ideally positioned for sustainable growth. Buyers/investors to confirm land use and density with the City of Delta. A prime chance to secure property in a rapidly evolving neighbourhood (id:64973)

Property Details

Bedrooms5
Bathrooms4
Living Area2,280 sq ft
Lot Size10800 (10,800 square feet)
Year Built1975
Property TypeSingle Family
Parking5
HeatingNatural gas
AppliancesWasher, Refrigerator, Dishwasher, Stove, Dryer
Annual Taxes$3,735
CityDelta
Postal CodeV4C6V4
MLS® #R3051025

Location

The data relating to real estate on this website comes in part from the MLS® Reciprocity program of the Canadian Real Estate Association. Real estate listings held by participating real estate firms are marked with the MLS® logo and detailed information about the listing includes the name of the listing agent. This representation is based in whole or part on data generated by the FVREB, REBGV or CADREB, which assumes no responsibility for its accuracy. The materials contained on this page may not be reproduced without the express written consent of the Real Estate Board of Greater Vancouver, the Fraser Valley Real Estate Board, or the Chilliwack and District Real Estate Board.